〈土地〉伊勢崎市境 売地
| 所在地 | 群馬県伊勢崎市境 | ||
|---|---|---|---|
| 交通 | 東部伊勢崎線 境町駅より徒歩7分 | ||
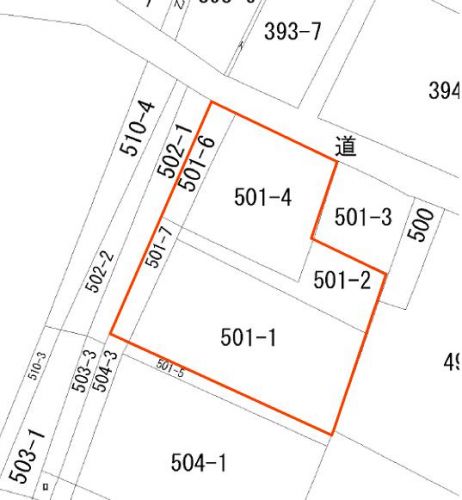
| 土地面積 | 684.50㎡ 207.06坪 |
- | - |
| 価格 | 1,336万円 | 坪単価 | 6.45万円/坪 |
| その他費用 | - | ||
| 建築条件 | 無 | 総区画数 | - |
| 建ぺい率 | 60% | 容積率 | 200% |
| 地目 | 宅地 | 地勢 | 平地 |
| 都市計画 | 市街化区域 | 用途地域 | 第1種住居 |
| セットバック | - | 私道面積 | - |
| 接道 | 北・西 | 土地権利 | 所有権 |
| 現況 | 建物有り | 引渡時期 | 即 |
| 国土法届出 | - | - | - |
| 設備/環境 | 角地 上下水 | ||
| 備考 | 解体後、更地引渡し | ||
| 取引態様 | 専任 | 情報登録日 | 2025年11月18日 |
- 株式会社イーホーム

- 〒370-0841
- 群馬県高崎市栄町21-6
- TEL.027-324-1146
- FAX.027-324-1140
- 営業時間/10:00~17:00
- 定休日/水曜日・日曜日





